Wednesday, March 18, 2026
New Wave Media

July 14, 2016

WASSP Debuts F3 Widescan Sounder

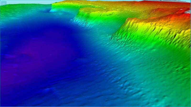
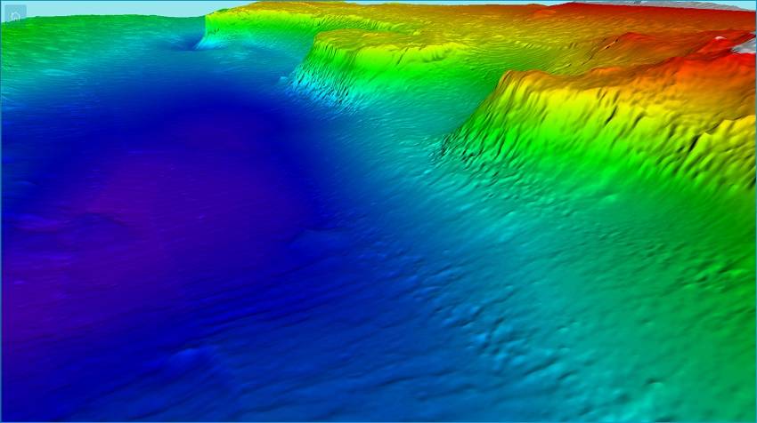
  • F3 3D Image (Image: WASSP)
  • DRX Hardware
  • F3 Screen Layout with 2D (Image: WASSP)
  • F3 Sounder Menu (Image: WASSP)
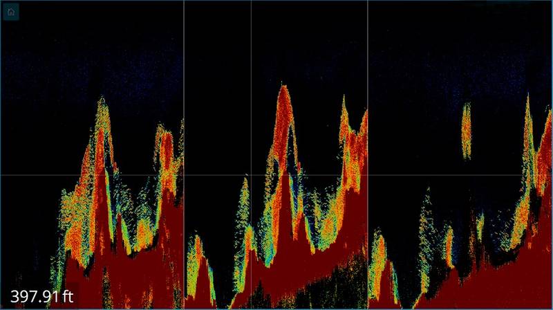
  • F3 Triple Beam (Image: WASSP)
  • F3 3D Image (Image: WASSP) F3 3D Image (Image: WASSP)
  • DRX Hardware DRX Hardware
  • F3 Screen Layout with 2D (Image: WASSP) F3 Screen Layout with 2D (Image: WASSP)
  • F3 Sounder Menu (Image: WASSP) F3 Sounder Menu (Image: WASSP)
  • F3 Triple Beam (Image: WASSP) F3 Triple Beam (Image: WASSP)

New Zealand based manufacturer of Multi-beam technology WASSP Ltd has introduced its second product for 2016, and the fifth in three years: the WideScan Sounder F3.

 
The F3 Widescan Sounder is the latest addition targeting the coastal fishing market. With the success of WASSP sales in the higher end commercial fishing fleet, WASSP Ltd said it recognized the need for a more cost effective and compact solution for the coastal fishing fleet.
 
“We will continue to sell the feature rich and proven WMB3230 (160 kHz) and WMB5230 (80 kHz) over the coming years while we develop new market opportunities with new F3 Widescan Sounder CHIRP technology,” said WASSP Managing Director, Gareth Hodson.  
 
At the heart of the system is the DRX hardware, a fully scalable platform with the technology embedded in the fully enclosed and ruggedized black box that is suitable for the harsh marine environment commonly associated with smaller coastal fishing vessels.
 
Developed using the latest wideband CHIRP signal processing technology, integrated with technology advances in the DRX hardware platform ensures future technology capability.
 
WASSP Ltd said it has spent countless hours with the customer understanding their operational needs and requirement for simplified user interface, the new CDX user interface with touch screen capability is testament to customer engagement.
 
“Over the past four years we have invested heavily in R&D recognizing we needed a completely new software and hardware platform to enable us to grow our product offering in all fishing markets, we have built a world class team of experienced, passionate and talented engineers that should be very proud of the latest WASSP product release,” Hodson said.
The annual Oceanographic issue explores deep sea oxygen research, sonar technology, carbon sequestration, and subsea defense trends.
Read the Magazine Sponsored by

Vessel & Vehicle Announcements

Marine Technology Magazine Cover Jan 2026 -

Marine Technology Reporter is the world's largest audited subsea industry publication serving the offshore energy, subsea defense and scientific communities.

Subscribe
Marine Technology ENews subscription

Marine Technology ENews is the subsea industry's largest circulation and most authoritative ENews Service, delivered to your Email three times per week

Subscribe for MTR E-news